3373 County Road 45, St Mathias Twp, MN

$269,000

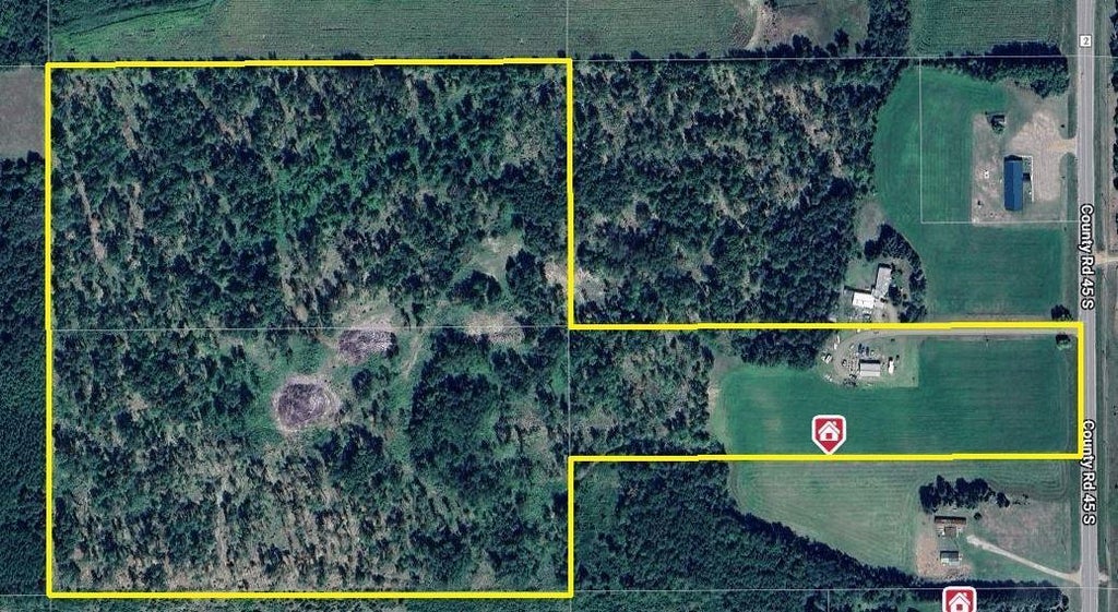
50.02

Acres

About 3373 County Road 45

House, Cabin or Bardominium would be perfect for this Stunning 50-Acre Property in Crow Wing County. Situated on a paved road with essential utilities already in place—septic, electric, and water—this beautiful parcel offers both convenience and serenity. A solid 30’ x 50’ shed, built just five years ago, features a concrete floor and provides ample space for storage or future plans. The land is a haven for outdoor enthusiasts, with over 40 acres of mature trees and winding walking trails—perfect for hiking, exploring, or simply enjoying the quiet. Known for excellent hunting, this property is ideal as a weekend retreat or a full-time residence. Whether you want to use it as-is, build your dream home, this acreage invites you to bring your vision to life. Come walk the land, breathe in the peace, and discover the full potential waiting here.

Features of 3373 County Road 45

MLS® # 6721570
Price $269,000
Acres 50.02
Type Land
Status Active Contingent
Contingency Type Inspection

Community Information

Address 3373 County Road 45
City St Mathias Twp
County Crow Wing
State MN
Zip Code 56401

Amenities

Is Waterfront No
Has Pool No

Interior

Fireplace No
Has Basement No

School Information

District Brainerd

Additional Information

Zoning Forestry
Foreclosure No
Short Sale No
Tax Year 2024
Office eXp Realty

Listing Details

OfficeeXp Realty

Interested in this property?

Request Showing

Listing Map

Request a Showing

Provide a valid email address.
When would you like to view this property?