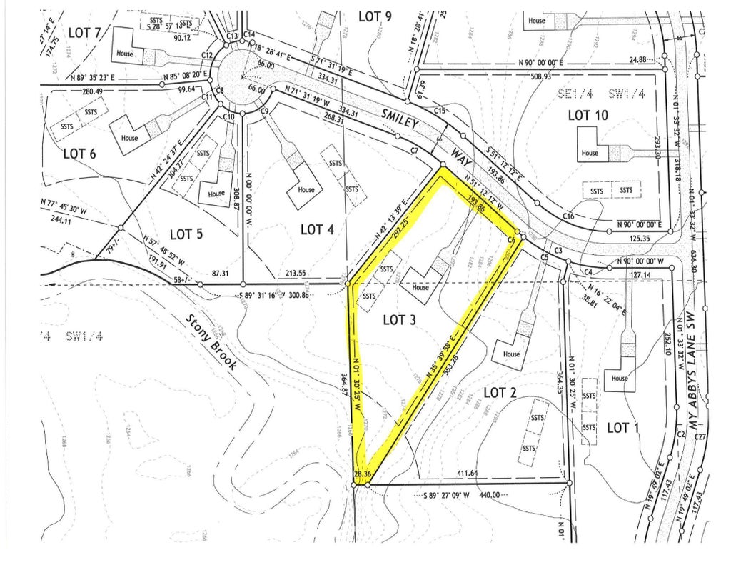
Xx3 Tbd Smiley Way, Pequot Lakes, MN

$59,900

2.36

Acres

About Xx3 Tbd Smiley Way

New residential neighborhood in the heart of the Nisswa and Pequot Lakes area. Nicely wooded 2.25+ acre lots are designed to offer peace and privacy in a rural setting and a great location for your new home. New streets are now paved and ditches hydroseeded, quiet streets without through traffic. Drive through anytime! CW Power and TDS cable, phone and high speed internet are available at street. Parcels other then those in MLS may be available at this time. Close to Gull Lake, Pillsbury State forest, Pelican lake, championship golf and all the lakes area has to offer. See covenants and plat in supplements.

Features of Xx3 Tbd Smiley Way

MLS® # 6611880
Price $59,900
Acres 2.36
Type Land
Status Pending
Contingency Type None

Community Information

Address Xx3 Tbd Smiley Way
Subdivision RJ Estates
City Pequot Lakes
County Cass
State MN
Zip Code 56472

Amenities

Is Waterfront No
Has Pool No

Interior

Fireplace No
Has Basement No

Exterior

Lot Description Many Trees, Underground Utilities

School Information

District Pequot Lakes

Additional Information

Zoning Residential-Single Family
Foreclosure No
Short Sale No
Taxes $68
Tax Year 2024
Office Kurilla Real Estate LTD

Listing Details

OfficeKurilla Real Estate LTD

Interested in this property?

Request Showing

Listing Map

Request a Showing

Provide a valid email address.
When would you like to view this property?